SAN-P 20 "Am Alten Markt / Alter Markt"

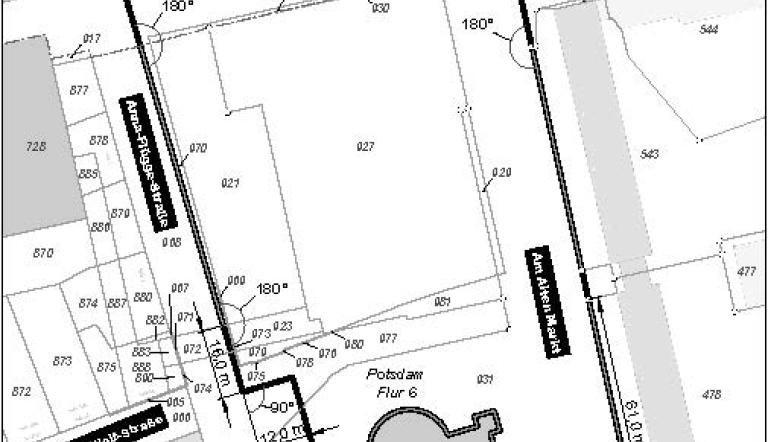
Zu sehen ist der Geltungsbereich des Bebauungsplans SAN-P 20

Verfahrensstand:

03.12.2025 Satzungsbeschluss gem. §10 (1) BauGB 
26.02.2026 Rechtskraft durch Bekanntmachung gem. §10 (3) BauGB

Amtliche Bekanntmachung der Satzung im Amtsbatt 04/2026

 

Downloads

  1. Planzeichnung - Bebauungsplan SAN-P 20 "Am Alten Markt / Am Kanal"
  2. Begründung zum Bebauungsplan SAN-P 20 "Am Alten Markt / Am Kanal"
  3. Anlagen 1 bis 22 zur Begründung zum Bebauungsplan SAN-P 20 "Am Alten Markt / Am Kanal"

Adresse

Landeshauptstadt Potsdam - Fachbereich Stadtplanung
Hegelallee 4-10
Haus 1
8. Etage
14469 Potsdam
Deutschland

  • Rampe Rampe
  • Barrierefreier Aufzug Barrierefreier Aufzug
  • Barrierefreies WC Barrierefreies WC
  • Barrierefreier Parkplatz Barrierefreier Parkplatz